Biscuit’s Big Adventure: A Team Effort to Help One Special Dog
Celebrating World Veterinary Day with Young Vets Club

The theme for this year’s World Veterinary Day is “it takes a team” and at WVS we know just how true this is! We help animals all over the world, and it takes a big team to make it all happen! Today, we’d love to tell you the story of one very special dog who stole our hearts. His name is Biscuit.
A Wobbly Walk and a Worrying Clue
Biscuit lived a peaceful temple life in Thailand, where the kind monks there looked after him and all his friends. Our vets and animal care team make regular trips to the temples, checking-in with the monks to make sure that all the dogs are happy and healthy. It was on one of these visits that we noticed something strange: Biscuit wasn’t walking like the other dogs. He was moving more awkwardly.
When we asked the monk caring for him, we found out Biscuit had been hit by a car one or two weeks earlier. That was all we needed to hear, we knew we had to help.

A Trip to the Clinic
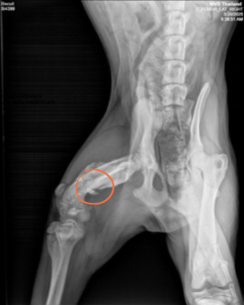
Our team brought Biscuit to the brand new WVS clinic in a city called Chiang Mai. First stop? A check-up with the vet and a set of x-rays. That’s how we discovered that Biscuit had a fractured leg. The bone had already started healing, but not quite right; one of his legs was now a different length to the others!

Next, blood tests were sent to the lab to make sure there were no other hidden problems. The results showed Biscuit had blood parasites; these live inside the blood and can make animals really unwell.

A Whole Team to the Rescue
For now, Biscuit’s team of carers is keeping an eye on his condition. If his leg continues to be a problem, Biscuit might need surgery to fix it. Luckily, at the Thailand clinic we have a vet surgeon (someone trained to operate on animals) ready to perform an operation if he needs it, and an anesthetist (someone who will give medicine to Biscuit to keep him safely asleep during surgery).
After that kind of operation, vet nurses and animal carers are there to give him pain relief, keep him clean and comfortable, and help him eat and rest.

Because his legs are different lengths, Biscuit will need help from a physiotherapist to help him build strength and learn to move more easily again. These exercises are gentle and carefully planned to help him walk without pain.
The lab technician who checked Biscuit’s blood helps the vet to choose the right medication to fight the parasites. Some vet nurses specialise in preparing medicine the vet has prescribed.

Still Healing, Still Loved
Biscuit is staying at the WVS centre in Thailand as part of a long-term care plan. He gets regular check-ups, comfy beds, good food, and lots of love from our team while we keep an eye on his walking and continue his treatment. He will eventually go back home to the temple a happy and healthy hound.
Biscuit’s story reminds us of something really important: it takes a team to care for animals in need, and every job matters! That even includes YOU as a Young Vets Club member. Your membership helps us to train more vets, send out vet supplies across the globe, and reach more animals!
Meet the Team Who Helped Biscuit!
These are just some of the amazing people working hard behind the scenes...
Vet – The animal doctor who gave Biscuit his first check-up and made a plan to help him feel better.
Vet Surgeon – The expert who can fix broken bones with surgery if needed.
Vet Nurse – They help with everything from bandages and medicine, to cuddles and clean blankets.

Anesthetist – The specialist who keeps animals safely asleep during surgery, so they don’t feel pain.
Lab Technician – The science expert who tested Biscuit’s blood to find the parasites. Vets will also specialise in this too.
Physiotherapist – The person who might need to help Biscuit to learn to walk more comfortably again.

Animal Carers – The kind people who feed Biscuit, clean his space, and help him rest.
Receptionist – A vital role! The first person a worried owner will speak to; the job of a receptionist is to keep everyone calm and everything running smoothly, often in stressful situations.
Biscuit’s guardian – The monk friends who help care for him at the temple.

Volunteers and Supporters – People like you, who care about animals and help us do our work by learning, sharing, and championing animal welfare!
Happy World Veterinary Day! The next time you see a happy, healthy pet, remember: it’s not magic. It’s teamwork!






